CakapCakap – Cakap People! Badan Meteorologi, Klimatologi, dan Geofisika (BMKG) menyebut Indonesia saat ini tak benar-benar aman dari bahaya siklon tropis, meski berada di ekuator. Hal ini ditunjukkan oleh Siklon Tropis Senyar dan sejumlah siklon tropis lain beberapa tahun ke belakang.
“Dengan seiring terus menghangatnya perairan Indonesia yang tadi menyuburkan tekanan rendah yang menjadi pemicu adanya bibit siklon, maupun siklon, maupun pola tekanan rendah, ini tentunya kita harus waspada bahwa tidak bisa lagi, artinya memandang bahwa Indonesia akan aman dari lintasan siklon,” ujar Direktur Meteorologi Publik BMKG Andri Ramdhani dalam konferensi pers daring, Rabu, 26 November 2025.

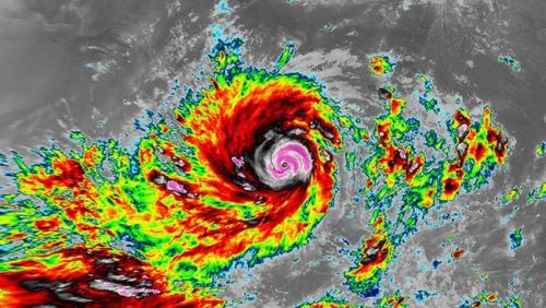
Bibit Siklon Tropis 95B yang berada di Selat Malaka telah bertransformasi menjadi Siklon Tropis Senyar pada Rabu, 26 November 2025. Siklon tropis ini berpotensi mendarat di Aceh dalam 24 jam ke depan.
Andri menyebut kehadiran Siklon Tropis Senyar di wilayah Indonesia adalah kejadian langka. Secara teori, katanya, Indonesia adalah wilayah yang tidak akan dilintasi siklon tropis, karena berada di wilayah ekuator.
Namun, ia menyebut catatan lima tahun terakhir tidak menunjukkan demikian. Menurutnya, banyak siklon tropis yang mulai mendekat ke wilayah Indonesia.
“Sebagai contoh pada 2021 dengan siklon Seroja, itu benar-benar masuk ke wilayah daratan. Kemudian juga ada siklon tropis Cempaka di selatan Yogyakarta. Lalu juga Dahlia,” tuturnya.
Lebih lanjut, Siklon Senyar saat ini memiliki pusat di 5 derajat LU dan 98 derajat BT dengan tekanan udara minimum di pusat mencapai 998 hPa. Siklon tropis ini memiliki kecepatan angin maksimum mencapai 43 knot atau sekitar 80 km/jam.
Siklon tropis ini bergerak ke arah barat menuju wilayah daratan Aceh dengan kecepatan sekitar 10 km/jam dan memicu pertumbuhan awan konvektif di sekitarnya.
Alhasil, cuaca wilayah yang dilalui siklon tropis ini akan terdampak signifikan. Faisal mengatakan wilayah Aceh dan Sumatra Utara berpotensi diguyur hujan sangat lebat hingga ekstrem yang dapat disertai angin kencang.
Selain meningkatkan intensitas hujan, Siklon Tropis Senyar juga berpotensi menyebabkan gelombang laut tinggi 2,5-4 meter di Selat Malaka bagian utara, perairan Aceh, dan Samudera Hindia Barat Aceh hingga Nias; dan gelombang gelombang kategori sedang 1,25 hingga 2,5 meter di wilayah Selat Malaka bagian tengah, perairan Sumatra Utara, dan perairan Rokan Hilir.
Siklon Tropis diperkirakan akan terus bergerak ke arah barat dan barat daya serta berinteraksi dengan daratan, lalu diperkirakan melemah secara bertahap.
Meski demikian, cuaca ekstrem tetap berpotensi terjadi sebagai dampak lanjutan, sehingga potensi dampak bencana hidrometeorologi seperti banjir, banjir bandang, tanah longsor harus tetap diwaspadai terjadi di wilayah Aceh, Sumatra Utara, Kepulauan Riau, Sumatra Barat dan sekitarnya sekitar 2 hingga 3 hari ke depan.
Dampak dari siklon tropis ini menimbulkan dampak cuaca ekstrem seperti hujan lebat, angin kencang, banjir pesisir (rob), longsor dan pohon tumbang di wilayah padat penduduk.
“Jika pusat siklon memasuki daratan, sifatnya siap merusak, curah hujan ekstrem dan angin kencang berpotensi banjir dan longsor pada wilayah yang dilintasi,” jelas Deputi BMKG Guswanto.
Dalam kondisi tertentu, BMKG dan BNPB kerap melakukan Teknologi Modifikasi Cuaca (TMC), untuk mengurangi curah hujan. Namun, teknologi ini tidak dapat diterapkan pada sistem skala besar seperti siklon tropis.
“Ekskalasinya terlalu besar, pergerakan cepat, dan risikonya sangat tinggi bagi keselamatan tim, yang bisa dilakukan adalah mitigasi dan persiapan,” ujar BMKG.
BMKG menegaskan bahwa masyarakat harus mulai beradaptasi dengan era baru pola cuaca di Indonesia, di mana ancaman siklon tropis semakin terjadi.

